Toggle navigation
Invasives 101
Species
Images
Publications
Maps
Videos
Control
EDRR
CWMAs/CISMAs
How to ...
Global
Browse
Invasives 101
Species
Images
Publications
Maps
Videos
Control
EDRR
How to ...
Global
0
Copy Image
Download
192x128
384x256
768x512
Login for additional resolutions
Flag
Fullscreen
Request permission via light box
Save to collection
Download
Share
Image Number:
5492198
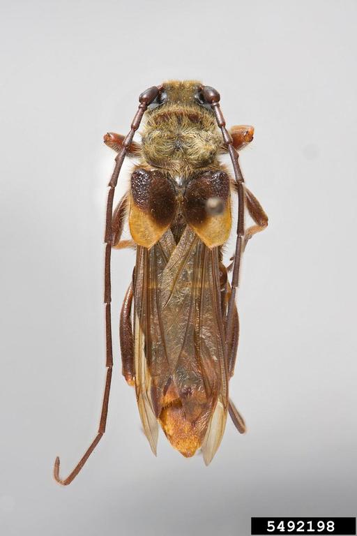
lion beetle (Ulochaetes leoninus LeConte,1854)
LeConte,1854
Photographer:
Nathan Lord
Organization:
University of New Mexico
Descriptor:
Adult(s)
Image view:
Dorsal / Abaxial / Back
Image type:
Museum
Image Source:
Longicorn ID from ITP
Project:
Longicorn ID
How to cite this image
Nathan Lord, Longicorn ID, USDA APHIS PPQ, Bugwood.org
You must attribute the work in the manner specified (but not in any way that suggests endorsement). You may not use this work for commercial purposes unless permission is granted by the photographer or copyright owner.
Specimen Information
Collection:
Smithsonian National Museum of Natural History (NMNH)
Taxon Name:
Ulochaetes leoninus
Type specimen:
No
Specimen Condition:
Preserved, dried and Mounted
Identification Method:
Morphological Analysis - Visual
Image Location
Image location:
, National Museum of Natural History, Smithsonian Institution
Commodity/Setting
Area:
Entomology - Taxonomy
Taxonomy & Annotation
Curation Information
Node Affiliation:
USDA APHIS PPQ
Image uploaded:
Tuesday, February 26, 2013
Image last updated:
Tuesday, May 7, 2013
×
Share
Select Image Size:
192x128
384x256
768x512
1536x1024 - Available only to registered members
3072x2048 - Available only to registered members
HTML code:
Embed code:
Direct link:
Image link:
Citation:
×
Please allow clipboard access to copy the image. For more imformation, please see
Clipboard API