Toggle navigation
Invasives 101
Species
Images
Publications
Maps
Videos
Control
EDRR
CWMAs/CISMAs
How to ...
Global
Browse
Invasives 101
Species
Images
Publications
Maps
Videos
Control
EDRR
How to ...
Global
0
Copy Image
Download
192x128
384x256
768x512
Login for additional resolutions
Flag
Fullscreen
Request permission via light box
Save to collection
Download
Share
Image Number:
5481604
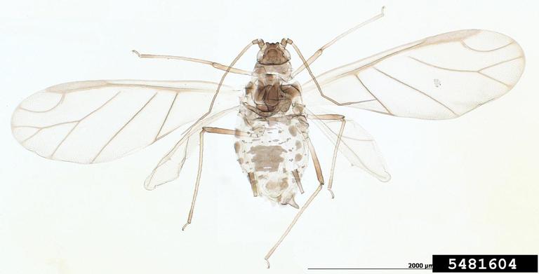
ornate aphid (Myzus ornatus Laing, 1932)
Laing, 1932
Photographer:
Brendan Wray
Descriptor:
Adult(s)
Gender:
Alata
Description:
Female vivipara. Habitus.
Image type:
Museum
Image Source:
AphID from ITP
Project:
AphID
How to cite this image
Brendan Wray, AphID, USDA APHIS PPQ, Bugwood.org
You must attribute the work in the manner specified (but not in any way that suggests endorsement). You may not use this work for commercial purposes unless permission is granted by the photographer or copyright owner.
Specimen Information
Collection:
Smithsonian National Museum of Natural History (NMNH)
Collection Number:
00748341
Taxon Name:
Myzus ornatus
Type specimen:
No
Specimen Condition:
Slide Mounted
Identification Method:
Morphological Analysis - Visual
Image Location
Image location:
Commodity/Setting
Area:
Entomology - Taxonomy
Taxonomy & Annotation
Curation Information
Node Affiliation:
USDA APHIS PPQ
Image uploaded:
Thursday, November 1, 2012
Image last updated:
Friday, January 18, 2013
×
Share
Select Image Size:
192x128
384x256
768x512
1536x1024 - Available only to registered members
3072x2048 - Available only to registered members
HTML code:
Embed code:
Direct link:
Image link:
Citation:
×
Please allow clipboard access to copy the image. For more imformation, please see
Clipboard API